皇冠信用網正网_上海明后天将有大暴雨,或为1981年以来11月最大降雨
皇冠信用网足球代理皇冠代理开户
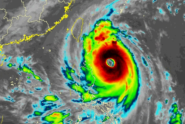
台风“康妮”动态:加强为超强台风皇冠信用網正网,逐渐向台湾岛靠近

今年第21号台风“康妮”,今天早晨增强为超强台风,11时其中心位于距离台湾省台东市东南约520公里的太平洋洋面上,中心附近最大风力有17级,中心最低气压为925百帕,七级风圈半径380~480公里皇冠信用網正网。
预计“康妮”将以每小时15~20公里的速度向西北方向移动,强度还将有所增强,将于31日中午到下午在台湾岛南部或中部登陆,尔后沿浙闽沿海一带近海北上(也可能在上述沿海地区登陆或擦过),强度迅速减弱皇冠信用網正网。

台风外围联手冷空气皇冠信用網正网,周四傍晚至周五大暴雨

展开全文
降水预报:注意防范大暴雨
受“康妮”外围环流和冷空气共同影响,10月31日下午起上海市将出现阵雨天气,傍晚开始雨势增强,强降水将持续到2日凌晨,降水集中时段出现在31日半夜至11月1日白天皇冠信用網正网。过程累积雨量大暴雨(120~180毫米),上海市东南部地区雨量更显著(局部可达220~280毫米),可能成为上海市1981年以来11月最大降水过程。
注意防范大风
31日夜里起上海市风力逐渐增大,11月1日最大陆地阵风8~9级,高层建筑及沿江沿海地区阵风9~10级,洋山港区阵风10~11级,2日下午风力逐渐减弱皇冠信用網正网。
天气提示
台风影响前可适量储备饮用水和食物皇冠信用網正网。台风影响期间尽量减少外出。
防范大风皇冠信用網正网。妥善收起室外物品,防止高空坠物。不要在临时建筑物附近躲避风雨,车辆停靠远离大树等。
此次过程具有极端性,强降水可能造成局部积水,如在户外注意不要轻易涉水皇冠信用網正网。
“康妮”影响期间正值天文大潮期,注意提防风暴增水影响,低洼处有需注意防范皇冠信用網正网。
此次过程对交通有较大影响,注意及时了解出行信息皇冠信用網正网。
注意及时了解预报预警信息皇冠信用網正网。
后期天气趋势:下周冷空气影响皇冠信用網正网,气温进一步下降
明天上海逐渐受到“康妮”外围影响,云系增多,下午开始转雨,全天气温在18~23℃之间皇冠信用網正网。明天夜间到周五降雨明显,同时风力增大。降雨和冷空气影响,周五和周六气温下降,最高气温仅20℃。周日上海天气恢复平静。下周还有一次冷空气过程,上海以多云天气为主,气温进一步下降。

猜你喜欢
- 2025-10-28皇冠信用網在线开户 _猛龙主场迎战火箭,三连败阴霾下的翻身战
- 2025-10-28皇冠足球管理平台出租 _江西一女子徒步时误将一处区域当作“野生蹦床”蹦跳,“回来后才发现是蛇窝、很后怕”
- 2025-10-27皇冠信用網登2 _中美谈判长达10小时,双方都有一句话前所未见,美方承认中国地位
- 2025-10-27皇冠信用盘庄家 _手被烧熟!金手镯被烧熔!女子给电动车充电,不慎碰到充电口受伤
- 2025-10-27皇冠信用網登123出租 _赖斯受伤被梅里诺换下,因卡皮耶换下卡拉菲奥里迎英超首秀
- 2025-10-27皇冠信用網怎么租 _郑智化再发文:这些年我常在大陆演出,这不是偶发事件
- 2025-10-26皇冠信用網结算日 _苹果启动内存革命:iPhone 18有望全系标配12GB内存
- 2025-10-26皇冠信用网开户 _刚对华示好,转身就制裁中企,中方罕见发火
- 2025-10-26皇冠信用盘平台 _特朗普就台湾问题罕见表态,还主动公布访华行程,看来是真急了
- 2025-10-25皇冠信用网正网_大胜厄瓜多尔队 中国队晋级U17女足世界杯16强
- 2025-10-25皇冠信用网注册开户_中美元首将齐聚韩国,美媒突然爆料:特朗普准备对中国启动调查
- 2025-10-25皇冠信用网注册开户_美国人正度过一个“没了中国货、最恐怖”的万圣节,白宫发言人却仍嘴硬



网友评论